

Discover the most advanced facial imaging technology at Rakus Clinic with VISIA Skin Analysis. This state-of-the-art system offers an in-depth view of your skin’s condition, helping us tailor treatments to your unique needs for optimal, targeted results.
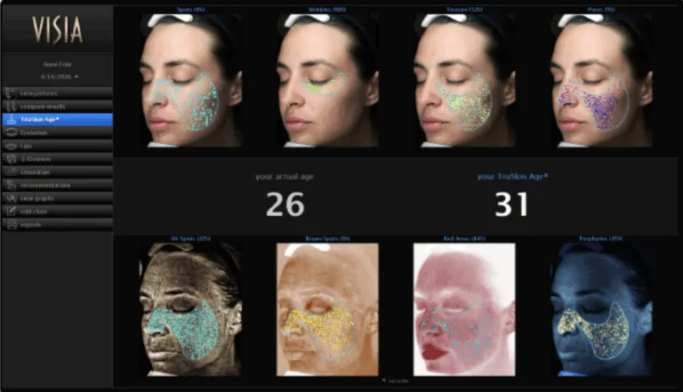
VISIA Skin Analysis is a high-tech imaging system that captures multi-dimensional photos of your face to evaluate your skin’s health—both on the surface and beneath. Using specialised lighting and 3D visualisation, it provides precise measurements of fine lines, pores, pigmentation, sun damage, and more. This data empowers our skincare experts to create deeply personalised, medically-informed treatment plans tailored to your individual skin profile.
Assess wrinkles, pores, pigmentation, UV damage, texture, and more.
Enables our experts to recommend treatments that are precisely matched to your skin concerns.
Monitor improvements with side-by-side comparisons over time.
Identifies issues beneath the skin surface before they become visible
The VISIA system uses high-resolution 3D imaging combined with multi-spectral analysis to scan and evaluate multiple skin layers. During your appointment, your face will be gently positioned in front of the VISIA machine, which captures images in just a few minutes. The system then analyses various factors like:
Sun damage (UV spots)
Wrinkle depth and distribution
Skin tone and evenness
Pore size
Bacterial activity
Red areas and vascular conditions
Our skin specialists review the data with you and design a customised treatment and skincare plan based on your personal results.
After your VISIA Skin Analysis, you’ll gain a detailed understanding of your skin’s health—both on the surface and beneath it. You’ll leave with:
A personalised treatment roadmap
Insight into how your skin is ageing
A clear visual record for monitoring improvements
Better product recommendations for at-home skincare
Many patients find VISIA to be the most enlightening step in their skin journey, often identifying concerns before they’re visible to the naked eye.
Yes, VISIA is designed to accurately assess all skin tones and types without any discomfort or risk.
We recommend arriving with clean skin, free of makeup and moisturisers, for the most accurate results.
The entire process typically takes around 30 minutes, including the scan and consultation.
Many clients benefit from having a scan every 6 to 12 months to track progress and adjust treatment plans.
Yes, you’ll receive a visual report of your analysis, and we’ll keep a copy to help monitor future improvements
What is your concern…?
Search Treatments…